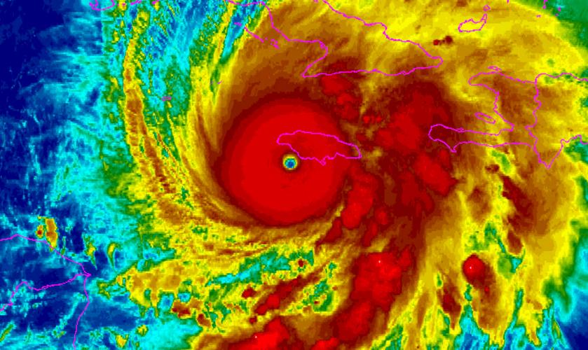
飓风梅丽莎正成为灾难性的5级风暴 美国空军被称为“飓风猎人”的第53气象侦察中队从飓风“梅丽莎”风眼内拍摄的画面显示,这场5级风暴正向牙买加和其他加勒比岛屿扫去。据位于迈阿密的美国国家飓风中心称,“梅丽莎”最大持续风速为每小时175英里,风暴正以每小时2英里的速度向西北方向移动,飓风中心位于牙买加蒙特哥湾东北偏东约50英里,古巴关塔那摩西南约160英里。 “梅丽莎”预计将于29日早些时候在古巴东部登陆。据预报,该地区降雨量可达51厘米,沿海地区还会出现明显的风暴潮。







飓风梅丽莎正成为灾难性的5级风暴 美国空军被称为“飓风猎人”的第53气象侦察中队从飓风“梅丽莎”风眼内拍摄的画面显示,这场5级风暴正向牙买加和其他加勒比岛屿扫去。据位于迈阿密的美国国家飓风中心称,“梅丽莎”最大持续风速为每小时175英里,风暴正以每小时2英里的速度向西北方向移动,飓风中心位于牙买加蒙特哥湾东北偏东约50英里,古巴关塔那摩西南约160英里。 “梅丽莎”预计将于29日早些时候在古巴东部登陆。据预报,该地区降雨量可达51厘米,沿海地区还会出现明显的风暴潮。






